Coca-Cola é retirada de mercados na Europa devido a alta concentração de clorato
A Coca-Cola, a marca de refrigerantes mais famosa do mundo, está sendo retirada de mercados em seis países da União Europeia após a detecção...
Evo Morales acusa CIA de operar na Bolívia após atentado frustrado
O ex-presidente Evo Morales afirmou, nesta segunda-feira (27), que a CIA está operando na Bolívia com o objetivo de capturá-lo, em meio a alegações...
Golpe com Inteligência Artificial faz francesa perder mais de R$ 5 milhões em romance...
Uma designer de interiores francesa de 53 anos está internada com depressão grave após ser enganada por um golpe que lhe custou mais de...
Trump não será preso nem multado após julgamento sobre pagamentos à atriz pornô
O presidente eleito dos Estados Unidos, Donald Trump, não enfrentará prisão nem multa após ser considerado culpado das acusações de pagar secretamente à atriz...
Venezuela fecha fronteira com o Brasil em data de posse de Nicolás Maduro
Nesta sexta-feira (10), a Venezuela fechou a fronteira com o Brasil, localizada na cidade de Pacaraima, em Roraima. A medida foi tomada no mesmo...
Ditadura da Venezuela anula passaportes de jornalistas e ativistas em ato de repressão
A ditadura da Venezuela decidiu anular os passaportes de dezenas de jornalistas e ativistas, conforme divulgado pelo Financial Times. Essa medida, que ocorreu após...
Com Milei, Argentina registra menor inflação mensal desde 2021
A inflação na Argentina desacelerou 3,5% em setembro em comparação a agosto, marcando a menor variação mensal desde novembro de 2021, quando foi de...
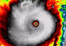
Furacão Milton causa destruição na Flórida com tornados e inundações
O xerife de St. Lucie, Keith Pearson, relatou à CNN que vários tornados gerados pelo furacão Milton resultaram em "várias mortes" em uma comunidade...
Advogados tentam liberdade de Diddy por fiança pela terceira vez
A defesa de Sean Diddy Combs protocolou, pela terceira vez, um pedido para que seu cliente responda ao processo em liberdade, com fiança fixada...
Furacão Milton, classificado como “catastrófico”, avança em direção à costa do Golfo da Flórida.
O furacão Milton se aproxima da costa do Golfo da Flórida, oferecendo aos moradores um último dia para evacuação ou abrigo antes de sua...














